LIMENA
LIMENA
Prima sede Municipale-
Stazione Carabinieri

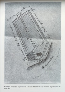
La prima sede municipale di Limena (1871) si trovava in un edificio su via Fornace. Reso inagibile dall’inondazione del 1882, finì per essere abbandonato e nel 1889 si preferì costruirne uno di nuovo prospiciente la piazza centrale al di là del Brentella.

Quel primo municipio, ricostruito nel 1890, divenne però l’abitazione del medico di Limena, in un’epoca in cui medico e maestro erano dipendenti comunali e il comune doveva, oltre allo stipendio, mettere a loro disposizione anche un alloggio. Oggi l’ex casa del medico risulta attigua alla scuola primaria “A. Manzoni”.

I lavori del nuovo municipio su piazza Diaz vennero completati nell’agosto dello stesso 1889 con un costo complessivo di 20.202,95 lire, cifra di rilievo se si pensa che corrispondevano a vent’anni di stipendio di un medico. I dipendenti comunali erano allora tredici.

Dopo più di cent’anni anche questo edificio su piazza Diaz nel 1993 venne lasciato e dato in affitto all’arma dei carabinieri per essere adibito a comando della stazione di Limena. Sede del Comune divenne la Barchessa Fini, immobile acquistato dal Comune nel 1982 dalla Casa di Riposo di Padova e appositamente restaurato per essere la nuova e attuale sede municipale.